In addition to the preformatted Standard Reports, Argus Insight provides Report Writer, Cubes, and Dashboard Indicators tools that let you create custom reports for ad hoc/special reporting requirements.
Report Writer is used to create a custom report by directly selecting datamart fields and applying filters on them. The report output can be displayed in various layouts and can be saved in file formats, such as PDF, XLS, or CSV.
A Cube is a data model that contains multiple dimensions (key reporting elements). You can observe and analyze the interactions between reporting elements by performing operations such as nesting, drill, sort, count, and total. Argus Insight provides five built-in Cubes, pertaining to varied reporting aspects.
Dashboard Indicator reports are configured by the administrator and made available to users based on their profile. These reports pull the latest data from the datamart and provide information on key product performance and workflow efficiency parameters.
The topics that follow explain how to use the custom report tools.
General Report Writer Information
Creating a New Report
Editing Reports
Changing the Report Layout
Saving and Accessing Saved Reports
In this version of Argus Insight, Report Writer utilizes the features of Cognos® 8 Query Studio to let you create custom reports by directly selecting datamart fields and viewing the result (report output) on the fly. The Report Writer interface provides a list of database fields organized in a tree structure. Use the following procedure to create a report, expand the trees corresponding to the required database fields and select the fields to be displayed as columns in your report.
Once you have created your report, you can edit the report, change the report layout, run the report in specific formats, and save the report.
This topic explains how to start Report Writer and create a new report. Use the following procedure to create a new report.
In Argus Insight, select Case Series Reports > Report Writer > New. Query Analysis starts. In the left frame, the Insert Data menu option is selected.

Select the Active Case Series Filter.
|
Note: Select the Active Case Series Filter before selecting datamart fields for your report. This prevents Report Writer from querying the entire datamart and slowing down the report output generation.Use the following procedure to view the Active Case Series, select Query Results > Case Series > Active in Argus Insight. If you want to make another Case Series active, select Query Results > Case Series > Library in Argus Insight. In the Case Series Library page that appears, check the Case Series you want to make active and click Make Active. |
In the left frame, expand the Report Writer control tree. The various datamart views are displayed.

Scroll down the list of views so that the Filters folder is visible.
Expand the Filters folder. The built in Active Case Series Filter is displayed.

Select the Active Case Series Filter.
Click Insert. The selected filter appears in the right frame.

Select the datamart fields to include in your report.
In the left frame, expand the Report Writer control tree. The various datamart views are displayed.
Expand the datamart view tree, as appropriate. The datamart fields corresponding to the tree are displayed.
Select the datamart fields, as appropriate.
|
Tip: If your report consists of fields from the Event and Product tables, it will only display data for those cases where event assessment has been done. This is because event assessment is the only way of defining relationship between an event and a product. |
Click the Insert button. The Report Writer queries the datamart, automatically executes the query for every field you selected, and displays the data for the selected fields in the report output area within the right frame. The fields you selected are displayed as columns in the report output.

|
Tip: Select multiple fields as follows:
|
Repeat the steps listed above to insert additional fields into the report.
|
Tip: If you wish to delete a column from the report output, select the column and click the Delete button on the toolbar.You can revert or repeat any actions you perform in Query Studio by using the Undoor Redotoolbar button, respectively. |
Enter the report title.
Click Title above the report output. The Edit Title section appears below the report output in the right frame.

Enter the report title and subtitle in the respective text boxes.
Click OK. The page refreshes; the titles you entered appear above the report output.
Use the following procedure to generate a report for displaying all the Case Series Criteria and Case Series Name.
Select the Case Series Criteria and Case Series Name objects from the Case Series class.
The Report Writer queries the datamart, to get all the Case Series Criteria and Case Series Name.

|
Note: Temporary Case Series Criteria and Case Series names will not be displayed. |
Use the following procedure to use the Case Series Criteria and Case Series Name with other objects.
In the left frame, expand the class folders under Report Writer.
The dimensions for the class category are displayed.
Scroll down the list of views so that the Filters folder is visible.
Expand the Filters folder.
The built in Active Case Series Filter is displayed.

Select the Filter.
Click Insert.
The selected filter appears in the right frame.
In the left frame, expand the Report Writer control tree.
The various datamart views are displayed.

Expand the datamart view tree, as appropriate.
Select the datamart fields, as appropriate along with Case Series Criteria and Case Series Name from Case Series class.
|
Tip: If your report consists of fields from the Event and Product tables, it will only display data for those cases where event assessment has been done. This is because event assessment is the only way of defining relationship between an event and a product. |
Click the Insert button.
The Report Writer queries the datamart, automatically executes the query for every field you selected, and displays the data for the selected fields in the report output area within the right frame. The fields you selected are displayed as columns in the report output along with Case Series Criteria and Case Series Name.

|
Tip: Use the following procedure to select multiple fields, hold down the CTRL key and select the fields. You can also insert an entire datamart view in your report by selecting the datamart view entity in the left frame and clicking Insert.You can also drag the field entities to the report output area. |
Select Case Series Criteria and click Create Sections icon.

The Case Series Criteria displays as header.

Display the Case Series Name as header.

|
Note: Always use Active Case Series Filter while using Case Series Criteria and Case Series Name with other objects. As, it may leads to undesirable results.Use the following procedure to view the Active Case Series, select Query Results > Case Series > Active in Argus Insight. If you want to make another Case Series active, select Query Results > Case Series > Library in Argus Insight. In the Case Series Library page that appears, check the Case Series you want to make active and click Make Active. |
After you have selected the required datamart fields and generated the output, you can use the various Query Studio options toedit the report, change the report layout, run the report in specific formats, and save the report.
You can access Query Studio's report editing options by selecting the Edit Data menu option. The report editing options let you control what data appears in your report as well as how it is formatted, calculated, and sorted. None of the edit operations you perform are stored in the database.

This topic only explains the basic report editing operations in Query Studio. For detailed information, refer to the documentation supplied with the Cognos8 products.
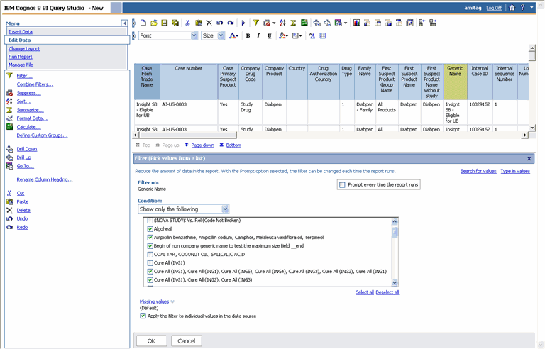
You can use the filtering option to reduce data in your report. Use the following procedure to filter your report.
In the report output area, click within the header of the column you want to use to filter the report output. The selected column is highlighted.

Select Filter from the Edit Data menu options in the left frame. The Filter section appears below the report output in the right frame. The Show only the following list displays all the values in the column you selected.

In the Show only the following list, check the values by which you wish to filter the report output.
|
Note: The Show only the following list may not display all the values if the list of values is very large. If you cannot find the desired values to filter on, click the Search for values link and search for the value by typing the value you are looking for. |
If you want the system to prompt you to select the filter values each time you run the report, check the Prompt every time the report runs checkbox.
If you want the report output to include those records which have a null value (no value) in the selected filter column, check the Show missing values checkbox.
Click OK. The system refreshes the report and displays the filtered output. The filter information is displayed above the report output.
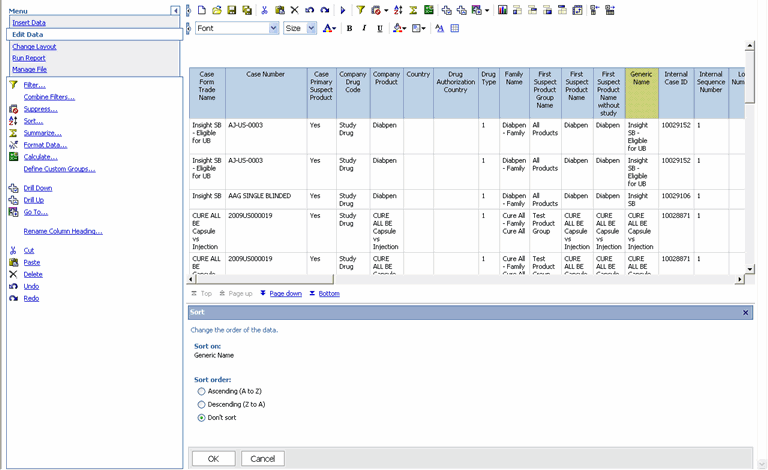
Use the following procedure to change the sort order in your report.
In the report output area, click within the header of the column that contains the values by which you wish sort the report output. The selected column is highlighted.
Select Sort from the Edit Data menu options in the left frame. The Sort section appears below the report output in the right frame.

Select the required sorting option by using the Sort Order option buttons.
Click OK. The system refreshes the report and displays the sorted output.
You can use the predefined summary options to calculate the total, count, maximum, minimum, or average of the values in columns of your reports. The summary options available to you depend on the type of data in the column you wish to summarize. For example, you can only use the Count option if your column contains text data whereas you can use total, maximum, minimum, or average options if the column contains numeric data.
In the report output area, click the column that you wish to summarize. The selected column is highlighted.
Select the column to be grouped and click on the Group icon placed in the grouping menu in the top panel. The selected column is grouped.

Select Summarize from the Edit Data menu options in the left frame. The Summarize section appears below the report output in the right frame.
From the Summary for footers list box, select the required summary option. The options available depend on the type of values the select column contains.
Click OK. The report output displays the column summary at the bottom of the report. Click the Bottom link to view the footer. If your report is grouped, the summary values are displayed for each group.

To remove summary information, select the relevant column and click Summarize. Select None from the summary option list box and click OK.
You can use predefined formats to change the appearance of numbers, dates, and times in your report. Formatting does not change the underlying data. The following table describes the various formatting options available.
| Format | Description |
|---|---|
| Default | The default format is the format of the report item before any formatting is applied in Query Studio. Use default to remove formatting. |
| Text | Use the text format to specify the number of characters that should be visible in the text string. |
| Number | Use the number format to change the number of decimal places, to specify whether to use a thousands separator, to choose different symbols to represent negative numbers, and to scale large numbers. |
| Currency | You can choose from many world currencies. Use either the currency symbol or the international code. For example the currency symbol for the euro is € and the international code is EUR. You can also change the number of decimal places, specify whether to use a thousands separator, choose different symbols to represent negative numbers, and to scale large numbers. |
| Percentage | This format shows a number multiplied by 100, using two decimal places and a percent sign. For example, 0.7356 appears as 73.56%. |
| Scientific | This format shows a number in exponential notation. For example, the number 224,110 is 2.24110E+05 in scientific notation. |
| Date and Time | ·You can choose from a list of date and time formats, including the 12 or 24 hour clock. |
In the report output area, click within the header of the column that you wish to format. The selected column is highlighted.
Select Format from the Edit Data menu options in the left frame. The Format section appears below the report output in the right frame.
Select the data format from the Category list box, as appropriate. The options for setting the format appear.
Set the formatting options, as appropriate.
Click OK. The report output is refreshed and displays the formatted data.
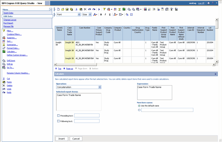
While the Summary option lets you display calculation results in report footers, the Calculate option lets you create a new column that displays the calculation results for one ore more columns. For example, you can perform the following types of calculations:
an arithmetic calculation between several columns in a report
analytic operations, such as maximum, minimum, average, or percentile, in grouped reports
percentage operations, such as percentage of total or percentage of difference
operations on text, such as concatenating text in two columns or abbreviating text in a column
The type of calculations or operations available to you depend on the type of information in a column.
In the report output area, select the columns on which you wish to perform calculations. The selected columns are highlighted.
Select Calculate from the Edit Data menu options in the left frame. The Calculate section appears below the report output in the right frame.

From the Operation Type list box select the type of operation you wish to perform. The operation types available depend on the type of information the selected columns contain, such as text or numeric.
From the Operation list box, select the operator. The operators available depend on the type of operation you specified.
Depending on the operator you selected, additional options may appear in the Calculate section. Specify those options.
Use the New item name option buttons to specify whether you want to the result column to have a new header title.
Click the Insert button in the Calculate section. The report output is refreshed and displays the calculation result.
You can access Query Studio's report layout options by selecting the Change Layout menu option. The layout options let you change the appearance of your reports without changing the underlying data. For example, you can convert your report into a chart or group the report into crosstab column headers. You can also group your report by a specific column, swap rows and columns, or create sections within your report.

The sections explain how to use the various report layout options.
|
Note: This topic only describes the basic layout operations in Query Studio. For detailed information, refer to the documentation supplied with the Cognos 8 products. |
Use the Chart option to graphically see patterns and trends in data. Charts can only be created for reports that contain measures (numeric values). Use the following procedure to create a chart from a report.
While your report is displayed, select the Chart from the Change Layout menu options. The Chart section appears below the report output in the right frame.

Use the Chart Type list box to select the type of chart you want to create. For example, column, pie, radar, and so on.
Check the Show the values on chart checkbox if you wish to display the measure value in the chart.
Use the Show the following in the report option buttons to specify whether you want the output to display only the chart or both chart and table.
Click OK. The report output refreshes. The chart is displayed.

|
Tip: The legends are displayed at the bottom of the screen. |
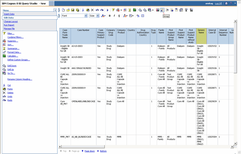
Use the Group option to reorder the rows of a selected column so that identical values appear together. Grouping also suppresses display of duplicates. You can group only those columns that contain text data or numeric data that is not a measure. Use the following procedure to group a report
In the report output area, click within the header of the column that contains the values you wish to use to group the report. The selected column is highlighted.

Select Group from the Change Layout menu options in the left frame. The system refreshes the report and displays the grouped output.

To ungroup a report, select the grouped column and select Ungroup from the Change Layout menu options.
A crosstab report shows a measure at the intersection of each row and column. This type of report is useful when you need to display a large amount of data in a small area. For example, if a report shows Country as columns, Products as rows, and Case Count as the measure, the value at the intersection of each column and row shows the count of cases for that product and that country.
|
Note: You cannot create crosstab reports directly in Query Studio nor does Query Studio permit you define measures. Use the following procedure to create sophisticated reports, such as crosstab reports, use the Cognos 8 Report Studio tool. The steps that follow explain how to create a crosstab report by performing the "Count" operation on each cell of the Case Number column to convert it into a measure. You can use this method to create similar crosstab reports in Query Studio. |
|
Tip: To create a crosstab report using the Count operation |
Select the following datamart fields to include in your report.
General - General Information > Case Number
General - General Information > Country of Incidence
Product - Product Information > Product Name
The Report Writer queries the datamart, automatically executes the query for every field you selected, and displays the data for the selected fields in the report output area within the right frame. The fields you selected are displayed as columns in the report output.

Convert the Case Number column values into counts.
Select the Edit Data menu. The Edit Data menu options are displayed.
Select the Case Number column by clicking within the column. The Case Number column is highlighted.
Use the following procedure to summarize the sections in a report.
Select the Summarize option from the Edit Data menu. The Summarize section appears below the report output.
Click the Advanced link in the Summarize section. Additional options appear.

Select Count from the Summary for cells list box.
Select Total from the Summary for footer list box.
Click OK. The report output refreshes. The Case Number column now shows the case count for each row.

Use the following procedure to convert to a Crosstab report.
Select the Change Layout menu. The Change Layout menu options are displayed.

Select the Country of Incidence column in the report output. The column is highlighted. The values of the selected column will appear as columns in your crosstab report.
Select the Pivot from the Change Layout menu options. The report output refreshes. The crosstab report is displayed.

Use the Create Sections option to group your report into section headings. The section headings are based on the values within a column you select.
In the report output area, select the column you wish to use for creating sections. The selected column is highlighted.

Select Create Sections from the Change Layout menu options. The report output refreshes. The report is grouped into sections.

The Swap Rows and Columns option in the Change Layout menu lets you interchange rows and columns in a crosstab report or a chart based on a crosstab. However, this option does not let you swap rows and columns in a list report.
Swapping rows and columns is useful in situations where a crosstab report has few rows and many columns.
Use the following procedure to make the report shown above easier to read, you can select the Swap Rows and Columns and interchange rows with columns.
If there are multiple rows or columns in a crosstab report, the outermost rows become the outermost columns, and the outermost columns become the outermost rows.
Query Studioprovides you many options to run or preview a report. You can access Query Studio's various run and preview options by selecting the Run Report menu item. Select the desired option to run the report.

The following table describes the various Run Report options available in Query Studio.
| Option | Description |
|---|---|
| Run with All Data | Select this option to run the report using the full datamart. Running a report with all data can take a long time. If you plan to make several changes to a report, you may run the report by selecting the Preview with Limited Data option to limit the rows of data that your report retrieves. |
| Preview with Limited Data | Select this option to preview the report by retrieving limited data from the datamart. The report output has a torn border at the top and bottom of your report. |
| Preview with no Data | Select this option to preview your reports with no data. The system displays junk characters in the report and the datamart is not queried at all. |
| View in PDF Format | Select this option to save a snapshot of your report data in PDF format. Select Specify PDF Options to set the display options for the PDF output. |
| View in Excel Single Sheet Format | Select this option to save a snapshot of your report data in a single datasheet in XLS format. |
| View in Excel Format | Select this option to save a snapshot of your report data in XLS format. |
| View in CSV Format | ·Select this option to save a snapshot of your report data in comma separated values (CSV) format. |
| View in XML Format | ·Select this option to view list reports in XML format. You cannot view charts or a crosstab reports in XML format. |
Use the Manage File menu option to save the reports you create by using Report Writer. You can save your reports in either Personal or Public folders. The reports you save are not a snapshot of the data displayed in the report output. Instead, the system stores the specific set of instructions (datamart fields you select) for extracting data from the datamart when you run the report. For example, if you run a report that you saved a week ago, the data in the report reflects any changes in the datamart as a result of the ETL process.

The sections that follow explain how to save reports and access saved reports.
Use the following procedure to save a report.
Select the Manage File menu option in the left frame. The options for saving the report appear.
Select the Save from the Manage File menu options. The Save As section appears below the report output in the right frame.

Enter the report name in the Name text box.
Enter the report description in the Description text area.
In the Screen tip text box, enter the screen tip text that should appear when a user points at the report in the Report Writer interface.
Select a Location option button to specify the location where the report needs to be saved:
Select the Public Folders > Report Writer option button if you want all users to be able access the report
Select the My Folders option button if you wish to save the report as a personal document.
Use the following procedure to save a report in a new folder within Public Folders > Report Writer or My Folders
Select the Select Another Location link. The Select a Location section appears.
Select the Public Folders or My Folders tab and click the New Folder link.
Specify the name, description, and screen tip for the new folder and click Finish.

Click OK to save the report in the location you specified.
The reports you save can be accessed from the Report Writer Library. Use the following procedure to open the Report Writer Library, select Case Series Reports > Report Writer > Library in Argus Insight. My Folders is the default location that appears when you open the Report Writer Library. All the reports you save as personal documents are listed in the My Folders location.

To view the reports saved as public documents select the Public Folders tab. You can navigate the public folders and display the desired report.
To run the saved report, check the checkbox next to the report name and click the Run icon . If there are any filtering prompts associated with the report, they are displayed. Specify the prompt values and click OK to view the report output.
You can edit a saved report by clicking the report name. The report opens in the Query Studio interface. After you edit the report, you can save it by another name by using the Save As option in the Manage Files menu.
If a user selects an SMQ, all the cases based on that SMQ are displayed. The following section explains how to use SMQs in report writer.
Use the following procedure to use SMQs in report writer.
Go to Case Series Reports > Report Writer > New. The following window is displayed.

In the left frame, expand the Report Writer control tree. The various datamart views are displayed.

Under Events - Event Information, either double-click Event SMQ (Broad) or drag-and-drop it to the right pane.

Perform a similar operation as shown in the above step for Event SMQ (Narrow).
Under Events - Event Information, either double-click Case Number or drag-and-drop it to the right pane. This displays all the case numbers that correspond to the selected SMQ.
The term Case Annotation means the addition of notes to a case. An annotated case makes for better understanding about the case, due to the presence of notes added to describe anything relevant and important about the case.
Users can annotate cases within a case series as shown in the first row of the Notes column below.

The Annotate option for a case allows you to add a Note field for the respective case. This note is saved with the case series, and gets copied to a new case series if the case series where it was created is also copied.
While entering the notes, ensure that you do not exceed 200 characters. The note is then added through a context menu.
The created note remains with a case if the case series has been subsetted. Once entered, a note is saved for the case series. This means that you do not need to explicitly save a case series to save the note entered in it.
This note is applicable for the case in only the same case series where it was saved. It is not applicable even for the same case, if the case is in a different case series. This note also gets exported to Microsoft Excel when the Export to Excel functionality is used.
As shown in the following image, notes of a case series are retained when the case series merges with another case series. The text in the header "Notes from this series will be preserved in the merged case series" also displays the same.

A note can be frozen along with a frozen case series. Therefore, you cannot edit, add, or delete a note in a frozen case series. Similarly, if a user can access a case series, its corresponding notes can also be accessed and vice versa.
To use notes in Advanced Conditions, go to Case Series > Cases > Case Annotations. This field is a free hand text type field and supports single select only.
This Note is not available in Argus Safety and does not impact the case series there.
Use the following procedure to use case annotations in report writer.
Go to Case Series Reports > Report Writer > New. The following window is displayed.

In the left frame, expand the Report Writer control tree. The various datamart views are displayed.

Under Case Series, click Case Annotation.

Click Insert. This displays all the case numbers that correspond to the selected SMQ.
