| Oracle® Argus Safety English Administrator's Guide Release 7.0.2 E35662-01 |
|
|
PDF · Mobi · ePub |
This section explains the Business Configuration of the Argus Console, categorized into the following modules:
| Section | Sub-Section | Description |
| Business Configuration | Products and Licenses: | This section helps in capturing Product Details such as product specifics, product licenses and products involved in the studies.
These can be the products marketed, or under investigation, by the company. Refer to the following sections for further information on:
|
| Studies | This section helps in capturing Study information such as study specifics, products involved in the study licensed countries associated with the study and the clinical references used in the expedited reports. | |
| Expedited Report Rules | This section helps in capturing Expedited Reporting Rule configuration.
The Reporting Rules configuration feature enables the administrator to define the reporting rules or criteria for the cases to be qualified for expedited reporting. |
Each of the three Business Configuration sub-sections supports various views for efficient access to data. Each view consists of a hierarchical tree-structure comprising various nodes such as Family, Product, Licenses, and Countries.
The following table list which nodes can be edited and which cannot.
| Business Configuration Sub-Section | Organized By | Node | Editable |
|---|---|---|---|
| Products and Licenses | Family / Product / Licenses | Family | Yes |
| Product | Yes | ||
| Licenses | Yes | ||
| Product / Licenses | Product | Yes | |
| Licenses | Yes | ||
| License / Products | License | Yes | |
| Products | Yes | ||
| Countries / Licenses | Countries | No | |
| Licenses | No | ||
| Countries / License Type / Licenses | Countries | No | |
| License Type | No | ||
| Licenses | No | ||
| Studies | Projects / Studies / Products | Projects | No |
| Studies | Yes | ||
| Products | No | ||
| Studies / Products | Studies | No | |
| Products | No | ||
| Products / Studies | Products | No | |
| Studies | No | ||
| Countries / Projects / Studies | Countries | No | |
| Projects | No | ||
| Studies | No | ||
| Expedited Report Rules | Country / License Type / Reporting Rule | Country | No |
| License Type | No | ||
| Reporting Rule | Yes | ||
| License Type / Reporting Destination / Reporting Rule | License Type | No | |
| Reporting Destination | No | ||
| Reporting Rule | Yes | ||
| Responsible Group / Reporting Rule | Responsible Group | No | |
| Reporting Rule | Yes | ||
| Inactive Rules | Country | No | |
| License Type | No | ||
| Reporting Rule | Yes | ||
| Active Rules | Country | No | |
| License Type | No | ||
| Reporting Rule | Yes |
Some fields in the Business Configuration section of Argus Console are enabled with Type Ahead-input. This means that these fields are equipped with the ability to guess what the user is typing.
Based on the text being entered, this feature provides suggestions for the user to choose from.

The following fields have the type-ahead feature:
Clinical Reference Type (Under ClinicalStudies Configuration)
Ingredients (Under Product Family Configuration)
Manufacturers (Under Product and License Configuration)
Project ID (Under Clinical Studies Configuration)
Reporting Destination (Under Expedited Reporting Rules)
Be aware of the following:
The system has a Comments field that accommodates a maximum of 1000 characters on the Product Family, Product, and License and Study configurations.
The Product Configuration permits a maximum of 50 characters in the PSUR Group Name field. Multiple blank spaces between words will cause the generation of unusable report templates.
The License Configuration permits a maximum of 50 characters in the CTPR Group Name. Multiple blank spaces between words will cause the generation of unusable report templates.
The Business Configuration report prints the Comments field, and the system tracks any changes made to these fields in the audit log.
Each company has a set of products to sell and a set of processes unique to its business. The Administrator should be aware of the company business processes and/or workflow rules. The manner of product configuration in Argus Safety will depend on how the company handles its internal workflow related to the release of a product.
Details of the company's products can be added in Argus Safety using the Business Configuration section. This feature helps end-users to retrieve details of company products, without entering significant product information for each case.
Every company product should belong to a product family. Each product within a product family shares the same key ingredient and data sheets but can have a different concentration for the key ingredient.
Configuration of the product is done using the Business Configuration->Products and Licenses section.
The following illustration shows the fields associated with this section.
The following table lists and describes the fields in this section.
| Field | Description |
|---|---|
| Product Family Name | Enables the user to enter a new product family name. |
| Product Group | Enables the user to select a product group name. |
| Ingredient Name | Enables the user to select the multiple key ingredients for the product family
|
The screen helps in capturing the Product Family information. As per the Argus data model, the Product Family adds the Ingredients, Data Sheets, and the Product group.
Products are associated with Product families and are created using the Data Sheets, Dosage form, Strength and unit of the corresponding Product Family. The Product Group field in the Product Family configuration screen enables the Argus administrator to group the product families into various Product Groups.
Use the following procedure to add a product family.
In the Business Configuration section, select Product and Licenses.
In the left panel, select a filtering criterion. The left panel now displays the tree view of the Family based on the filtering criterion.
Select a Product Family and click to view the product family details in the right panel.
Note:
Ensure that you select the top-level folder to view the details of the product family.Product family details appear in the right panel.
Tip:
You can alternatively click Add Family to create a new family of products.
Use Copy to make an editable copy of an existing product family.
Use Copy with Datasheets to make an editable copy of an existing product family, along with all associated datasheets.
Enter the Product Family Name as applicable.
Select the Product Group from the drop-down list. This helps you to group the product families into various product groups.
Select the required Ingredient Name(s) displayed under the Key Ingredients section
Select the required Datasheet configuration.
Click Save to save the changes made to the Product Family.
Tip:
If you have added a new Product Family, click Add Family to save the new Product Family.The filtering criterion is essential as it helps you to search for specific items. The Argus Console provides this option for the Business Configuration section.
The filtering browser is displayed in the top-left corner of the left panel. The Products and Licenses section can be filtered based on any of the three combinations shown in the following illustration. Consider the following:
If you enable Organized by Family/Product/License, then the generated output will be visible in a tree-format in the left panel.
If you enable the Organized by Product/License, only the Product and License views are available in the tree view in the left panel.

The Argus Console helps you to filter information further for the Business Configuration section. Once you have selected the Organized by, you can specify whether your search should contain or start with specific alphabets.
The filtering criterion shown in the following illustration, enables the system to search for all Family/Product/License data that contains the term Cure.

Tip:
The number displayed next to the folder indicates the number of Products in the product family.Packaged medications (like prescriptions) are marketed with an insert sheet that lists the known contraindications (side-effects) that may occur as a consequence of taking the product. These inserts are also referred to as data sheets. It is important to list these effects in order to ensure accuracy in reporting. An inaccurate report could result in the wrong action taken or bring harm to a patient.
The Listed Events & Indications from the data sheet determine the listedness of the adverse event(s) for the case. Depending on the configured regulatory report rules, the listedness determination will automatically schedule the expedited reports .
The data sheet in the Product Family is configured using the Business Administration -> Products Family section.
The following table lists the Field Descriptions for this section.
| Field/Control Name | Description |
| Datasheet Name | Enables the user to rename the datasheet. |
| Activate Data Sheet | Enables the user to activate the current data sheet. Be aware of the following:
|
| Core Sheet | The Core Sheet checkbox enables the user to indicate that this data sheet is the central data sheet. This checkbox is disabled if another data sheet is marked as the core data sheet. |
| Include | The Include checkbox enables the user to indicate that this data sheet includes the particular datasheet selected in the drop-down list. Be aware of the following:
|
| Other Date | This radio button is enabled if the current date is not to be selected. Select this checkbox and enter any other date, as required. |
| Global /No local labeling assessment required | Checking this option automatically marks any license using this data sheet, as assessed, and the license does not require any local labeling assessment. |
| Notes | On clicking the notes icon, a pop-up appears to enable users to enter notes while entering the details of the Datasheet. |
| Listed Term | This field displays the listed terms (Preferred Term) for the datasheet. |
| View Revisions | Enables users to view a list of term that were added or removed with the added date. |
The View Revisions dialog displays the datasheet revisions, as shown below:

Note:
In order to facilitate optimum system performance, you can configure a limit on the number of revised terms that get displayed. If, for example, this value is set to 1000, the datasheet will display only 1000 revised terms in the list. This value is configurable in web.config by using the keyname DataSheetRevisionTermCount. The default value is 1000.Click Print to view all other revised terms.
Use the following procedure to create a datasheet.
In the Datasheet section of the Product Family section, click Activate Datasheet to activate the data sheet associated with the Product Family.

Note:
If you want to make a copy of the datasheet, click Copy. Ensure that you enter a new name for the datasheet, if you are making a copy of another datasheet.Select the Core Sheet check box, if this data sheet is required to be the core data sheet. Only one core data sheet is allowed per product.
Select the Include check box and select the value from a drop-down list. This helps you to indicate that this data sheet includes the particular datasheet selected in the drop-down list.
Select Global/No local labeling assessment required to automatically mark any license using this data sheet as assessed.
Click Add Term to select the listed terms (Preferred Term) for the datasheet. The MedDRA browser appears.

The MedDRA Browser available for Datasheets enables the administrator to select either multiple or all Preferred Terms (PTs) in the following way:
Click the required High Level Term (HLT) and select multiple PTs by clicking on each required PT.
OR
Right-click the HLT to select all entities available under PT.
Select the Preferred term from the MedDRA browser and click Select.
Tip:
You can alternatively click Select and Close, in the MedDRA browser to save and exit the Product Family screen.You can use Delete Term to delete the selected listed term(s) from the datasheet.
Click Select from the Event Groups tab of Datasheet to select an event group. The Event Group Selection window appears.
Press Save to save the data sheet. The Data Sheet name displays in the Data Sheets list.
Tip:
To view the revision history associated with a Datasheet, click Revisions. A pop-up appears containing the following information:Rev. No: Displays the revision number of the datasheet. This number is updated each time the data sheet is activated
Terms: Displays all the terms that were added / removed. In case a term has been deleted, it is marked with * against the term name.
Added On: Displays the date when the terms were added in the datasheet
Active On: Displays the date when the datasheet was made active for that revision
Each company has a set of products to sell and a set of processes that are unique to its business.
The manner of product configuration in Argus Safety depends on how the company handles its internal workflow, related to the release of a product. Therefore the Administrator should be familiar with the business processes or workflow rules of the company.
Configuration of the product is done in the Business Administration -> Products and Licenses section.
When configuring a product, be aware of the following:
When the user clicks the Notes link on a data sheet, he/she can enter a maximum of 2000 characters in the Preferred Terms section of a data sheet as shown in the following illustration.
When the user clicks the Notes link, he/she can enter one note for each term.
The user can use the standard spell check function.
If notes have been entered for the term, the system displays the Notes icon to indicate that notes are present.
The system also prints the notes on the Product Family details.
A comments field that can contain up to 1000 characters has been added to the Product Family/Product/License and Study configuration elements.
The Product configuration also has a 50 character PSUR Name.
The Business Configuration reports print the contents of the Comments fields.
The system tracks any updates made to the datasheets in the audit log.
The following illustration shows the fields associated with this section.

The following table lists and describes the fields in this section.
| Field Name | Description |
|---|---|
| Product Family Name | Enables the user to enter the unique family name for the product. The Product Family Name must be of at least five (5) characters. |
| Product Group | Select the product group for the product. |
| Ingredient Name | Displays the Ingredients of the Product Family to which the Product belongs.
The user can alphanumerically sort the field. Sorting on the ingredient name in the Product Configuration updates the sort order in the corresponding Product Family and all the other products which are part of the same family. |
| Datasheet | To view the description of the fields of this section, see Creating Data Sheets. |
| Preferred Terms | Displays the Listed Term (Preferred Term) for the product, as described in the field description table under Creating Data Sheets. |
| Event Groups | The Event Group, selected from the Select button > Available Event Groups dialog, is displayed as follows:
Event Group Name in English The event group name is displayed in the following format for Japanese users: Event Group Name in English (Event Group Name in Japanese) The count of the total number of Event Group Names present for the case is displayed on the header of the Event Groups tab. For more details about Event Groups, see the section Event Groups tab under Configuring Event Groups. |
This screen helps in capturing Product Details (product specifics, product licenses, products involved in the studies. These can be the products marketed, or under investigation, by the company. Every company product should belong to a product family. Each product within a product family shares the same key ingredient and data sheets but can have a different concentration for the key ingredient. This data is reflected in multiple expedited and periodic reports and case form-general information section.
Use the following procedure to add a product.
In the Business Configuration section, select Product and Licenses.
In the left panel, select a filtering criterion.
Select a Product and click to view the product details in the right panel.
Note:
Ensure that you select the second-level folder to view the details of the product.The details of the product appear in the right panel.
Tip:
You can alternatively click Add Product to create a new product.
Use Copy to make an editable copy of an existing product.
Use Copy with Licenses to make an editable copy of an existing product, along with all associated licenses.
Enter the Product Name and Product Abbreviation.
Enter the Dose information associated with the Ingredient Names in the Key Ingredients section.
Select the Unit information from the drop-down list, associated with the Ingredient Names in the Key Ingredients section.
Enter the Generic Name.
Tip:
To copy all the Key Ingredients entered in the previous section, click Copy From Ingredients. This helps you to modify the list as required, instead of entering all the names manuallyEnter the Dosage Formulation.
Enter the Strength of the dosage and select the Units from a drop-down list.
Click Encode to enter the Primary Indication. This enables you to display a primary indication for the product using either the MedDRA or the ICD-9 Dictionary.
Enter the Model # number associated with the product.
Select the Manufacturer from the drop-down list.
Click Select icon to select the WHO Drug Code associated with the product.
Enter the Company Code allotted for the product.
Enter the Lot# and Date associated with the Product.
Tip:
You can click Add to add new Lot# numbers. If you wish to add the current date in the Date field, use the = sign on your keyboard as a short-cut.Click Save to save the product details.
Tip:
If you have added a new Product, click Add Product to save the new Product.The filtering criterion is essential as it helps you to search for specific items. The Argus Console provides this option for the Business Configuration section.
The filtering browser displays in the top-left corner of the left panel. The Products and Licenses section can be filtered on the basis of any of the three combinations displayed below. Consider the following:
If you enable Organized byFamily/Product/License, the generated output is visible in a tree-format, in the left panel.
If you enable Organized byProduct/License, only the Product and License views are in the tree view in the left panel.
The Argus Console helps you to filter information further for the Business Configuration section. Once you have selected the Organized by, you can specify whether your search should contain or start with specific alphabets.
For example, the filtering criterion defined in the following illustration searches for all Family/Product/License data that contains the term Cure.
The left panel now displays the tree view of the Product Family->Product based on the filtering criterion.
Tip:
The number displayed next to the folder signifies the number of licenses within that product.Once product configuration is complete, you must create product licenses. Licenses are issued for pre-market and post-market release of a drug, device, or vaccine. Investigational (pre-market) licenses are issued for studies done at study centers and marketed licenses are issued for release of product. Configuration of licenses related to a product is a key step in the configuration of Argus Safety.
Configure licenses in the Business Administration -> Products and Licenses section. When configuring product licenses, be aware of the following:
The user can enter Medical Device Information in the licenses as shown in the following illustration.
The user can enter the following values in the Medical Device Information:
AIMD Active Implants
MDD Class III
MDD Class IIb
MDD Class lla
IVD Annex II List A
IVD Annex II List B
IVD Devices for Self-testing
IVD General
Blank (default)
The user can enter up to 20 characters in the PMA?510(k) # field. By default, the field is empty.
The user can enter a five-digit Nomenclature Code.
This must be a numeric value.
By default, the field is empty.
The system tracks license updates in the audit log.
These values display on the License report.
The following illustration shows the fields associated with this section.

The following table lists the Field Descriptions for the License configuration section.
| Field/Control Name | Description |
|---|---|
| Trade Name | Enables the user to enter the Trade Name under which this product(s) is (are) authorized by this license. |
| Award Date | Enables the user to enter the license award date for this license. |
| Withdrawn Date | Enables the user to enter the license withdrawal date for this license. The withdrawn date cannot be less than the award date. |
| Market Authorization Holder | Enables the user to select a manufacturer or co-marketing partner for this license of the product. |
| Biologic / Vaccine | Whether the license is for a Biologic/Vaccine (this can impact reporting rule).
If this is option is checked MedWatch will print PLA# not NDA# in section G5. It is included to support the Biologic License Application (BLA) and the Product License Application (PLA) requirements. |
| Not in Tradename lookup / Not Auto-scheduled | An option to indicate that this license name should not appear in the filter criteria for Auto Scheduling of Reports or trade name lookup browser.
When this checkbox is checked, the trade name will not appear for this license in the Trade Name Lookup dialog and this license will not be evaluated or allowed for auto scheduling of the reports, but will be available for manual scheduling of reports. The license will be displayed in event assessment. |
| Labeled for Single Use | Whether the drug is for single use (such as disposables)
If this option is selected it will mark YES in section H5 of the MedWatch device form, otherwise it will mark NO. |
| OTC Product | This enables the user to specify if the Product has been bought as an Over-the-Counter Product. |
| Datasheet URL | User can enter a hyperlink to a site giving information about the datasheet of the product. |
| Countries List | Enables the user to select all the countries in which the same license was issued. |
| Authorization Country | This enables the user to select the Country for which this license applies.
The chosen country does not impact the reporting rules algorithm. This field maps to the Country' field in the Reporting rules configuration. |
| License Type | The user can select one of the possible six types:
Investigational Drug/Device/Vaccine or Marketed Drug/Device/Vaccine The chosen license type maps to the License type field under each country on the Reporting rules configuration. |
| Datasheet Name | The datasheet drop-down enables the user to associate a datasheet with the License.
The field lists the datasheets for all the product families of the added products. The Data Sheet drop-down is enabled when one or more products have been added to the Products list. |
| License # | Enables the user to enter the License Number which will be referred in the regulatory reports like NDA, IND. |
| Company Item Number | Enables the user to enter the Company Item number corresponding to the license. |
| Countries List | Enables the user to select all the countries in which the same license was issued. The system adds the authorization country to the Countries Lise and updates the list when the user updates the authorization country. |
| Product Name | The Product List box displays the list of products (product name, dosage form and strength) that this associated license covers for regulatory reporting purposes. |
| Hide | When a product is marked as non display, it will not appear in the Trade Name Product lookup dialogue associated with the license tradename. |
| PMA/510(k)# | This field is associated with medical device information and prints in expedited reports. |
| Nomenclature Code | This field is associated with medical device information and prints in expedited reports. |
| Medical Device Information | This field is associated with medical device information and can contain the following values:
|
| CTPR Group Name | This value is used in Argus Safety when filter periodic report data. |
| Comments | Enables the user to enter information about the element configuration. |
This screen helps capture License information (License specifics, associated with the License, Countries where the product is marketed or is under investigation). This data is reflected in multiple expedited and periodic reports and in case form-product information section.
Use the following procedure to add a product license.
In the Business Configuration section, select Product and Licenses.
In the left panel, select a filtering criterion.
Expand the folders till you reach the license associated with a product.
Select a license and click to view the license in the right panel.
The system opens the following screen:

Enter the Trade Name of the license.
In the Manufacturer list, select the manufacturer of the product.
Select the AuthorizationCountry in which the license was issued.
Select the License Type. This is the type of license.
Enter the license number in License#.
If this license is to be reported under the PLA# and not the NDA# select the Biologic/Vaccine checkbox. If this checkbox is selected, the PLA# (and not the NDA#) will be printed in section G5 of the MedWatch form.
Specify if the drug is Labeled for Single Use or not.
Specify if the drug has been bought as an Over-the-Counter (OTC) Product.
Under Award Date, enter the date the license was granted to the manufacturer.
Enter the Withdrawn date, if applicable.
Enter the Company item number in Company item number.
Enter a URL reference for the license under Data Sheet URL (A URL reference might be a link to product label or product information).
A world wide web address or an appropriate network path (For example: http://anydomainname/anypath or \\FILESERVER\LOCATION) can be entered in this field.
Select Not in Tradename lookup/Not Auto-Scheduled if this license is not to be involved in reporting.
In the Countries List, select the countries that define whether the case will be classified as domestic or foreign for regulatory report scheduling algorithm.
Tip:
To modify this list, use the Modify option (placed next to the Countries List).Select the Data Sheet Name associated with the license, from the drop-down list.
Click Add in the Product Name/Dosage Form/Strength to add a product to the License
Tip:
You can alternatively click Add License to create a new license.Use Copy to make an editable copy of an existing license.
The ProductBrowser dialog opens.
Enter the name (partial or full) of the product and select FullSearch.
Select the appropriate product in the search results and click Select. Enter all the required products in this manner. Click here for more information on Product Browser.
Click on Add Products to add products.
The Products Browser window opens:.
Enter the Ingredient key word for the search. The ingredient is displayed in the first column.
Select the Ingredient to obtain the Family it is associated with.
Select the Product Name to view the associated Trade Names.
Select the Trade Name required.
Select is now enabled at the bottom of the window.
Click Select to add the product details under the Product Name section. The Product Name is displayed in under the Product Name section.

The product browser available for datasheets, enables the administrator to select either multiple or all Product Names as follows:
Click the Family name and select multiple Product Names by clicking on each required Product Name.
OR
Right-click the Family name to select all entities available under Product Name.
Click Save to save the changes.
Tip:
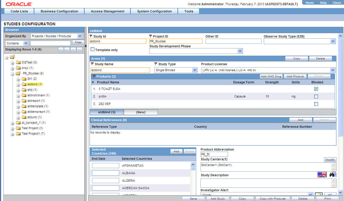
If you have added a new License, click Add License to save the new License.It is important to configure clinical studies in the Argus Console because it helps the system categorize the source of information for the cases that have been registered. This screen helps in capturing Study information (study specifics, products involved in the study licensed countries associated with the study and the clinical references used in the expedited reports.
Configuration of the product is done using the Business Administration->Studies section.
The following illustration shows the fields associated with this section.

The following table lists and describes the fields in this section.
| Field/Control Name | Description |
|---|---|
| Study ID | This is the Study ID. |
| Project ID | This is the project ID for the study. |
| Other ID | Enter any other ID associated with this study. |
| Observe Study Type (E2B) | This enables the user to select the study type from a drop-down list.
|
| Template Only | Select this checkbox to select only a template for the study. |
| Study Development Phase | Enables you to choose the study phase. |
| Arms | |
| Study Name | Enter the name of the study. This is a mandatory field. You can add upto 99 Arms to a study. |
| Study Type | Enter the type of study. Note: The Study Name and the Study Type fields must be unique for a study. |
| Product License | Select the applicable product license from the list of licenses available in this drop-down list. These licenses are displayed as per the products that have been selected for the Arm. This drop-down list is displayed as blank for a new Arm. |
| Copy | Click this button to copy a selected Arm. |
| Delete | Click this button to delete a selected Arm. |
| Products | |
| Product Name | This is the Product Name. |
| Dosage Form | This is the Product formulation. |
| Strength | This is the Product Concentration. |
| Units | This is the Product Units. |
| Products -Add WHO Drug | Opens Search Screen for selecting a non-company product. |
| Products -Add Product | Opens Search Screen for selecting a company product. |
| Products -Delete | Deletes the selected product row. |
| Blinded | Check this checkbox to configure a blinded study. You cannot check this checkbox if the Study Type for that Arm is not blinded. Note: A Study is eligible for Unblinding checkbox is enabled when a study has at least one Arm with Study type as Blinded (Single/Double). |
| Clinical References | |
| Reference Type | Shows the various reference types that can be setup for this study. |
| Country | Enables the user to select a country for the clinical reference type. |
| Reference Number | Captures the reference number that will be reflected on the regulatory reports. |
| Add | Enables the user to add another clinical reference. |
| Delete | Enables the user to delete the selected clinical reference. |
| Countries | Enables the user to select a country for the clinical reference type. |
| Product License | This is the license of the primary (company) product participating in the study. |
| Product Abbreviation | This enables the user to enter an up to 5 character abbreviation of the study name which would be used in Case numbering when Product' is selected in the system numbering configuration in case of study cases. |
| Centers | The system displays the selected study centers for the study. |
| Study Description | Enables the user to enter a brief description of the study. |
| Opens the study description in zoom mode and provides a spell check dialog. | |
| Opens the multi lingual dialog allowing the user to choose the language by clicking on the relevant flag of the country. | |
| Investigator Alert | Enables the user to select an existing Advanced Condition. Under Investigator alert, an advanced condition can be created / selected. When this condition is satisfied, the system automatically sends an e-mail to the investigator group associated with this study. |
| Investigator Alert - select | Opens up the Advance Condition browser. |
| Study is eligible for Unblinding | Check this box if the study can be unblinded. If the Study Type selected is Not Blinded", this field is disabled. This checkbox is enabled when a study has at least one Arm with Study type as Blinded (Single/Double). |
| Enable Study Specific Encoding | User checks this box if Study specific Auto encoding has to be enabled. |
| Autoencoding : Drugs(dict) | If unchecked (default state) the study will use the dictionaries configured using the Case form Configuration options.
If checked, the Auto encoding button is activated. |
| Autoencoding : Events & Indications | Select this field to enable the system to encode Events & Indications using the dictionary the user selects from the list. |
| Study Reporting | |
| Products -Add Product | Opens the Search screen for selecting a company product. |
| Products -Delete | Deletes the selected product row. |
| Inherent Reporting Rules Form | This drop-down list is populated from all the Study templates which are configured for SUSAR Reports. Users can use the pre-defined SUSAR reports by selecting the applicable template from the drop-down list. |
| Always report | Usually the study-specific reporting is configured to handle reporting requirements for non-company products, e.g. Placebo or a comparator, as the company-based reporting is taken care by the license based reporting logic utilized in Argus.
However, checking this checkbox will force Argus to check for qualifying expedited reporting rules based on the country, license type and reporting destination specified even if no non-company products are identified as study drugs. If the checkbox is unchecked then expedited reports based on the study-specific reporting rule will only be scheduled if there is a non-company product identified as a study drug. |
| Country | Specifies what country's reporting rules the console should consider. The list includes countries for which the expedited reporting rules exist. |
| License Type | Specifies what license type to consider for the specified country. Only applicable license types, i.e. Marketed Drug, Device, Vaccine or Investigational Drug, Device, Vaccine are displayed in this drop down list.
For example if a country Germany" only has reporting rules for investigation drugs, then Investigational Drug" is the valid drop-down element. |
| Reporting Destination | This field is optional and by default will have the value All.
Specifying any value in this list limits the reporting rules to be evaluated to the selected country, license type and reporting destination. The drop-down list is filled with valid destinations (regulatory authorities) for the country and license type selected based on the expedited reporting rules. For example, if the user has selected Germany, Investigation Drug and there are reporting rules for Germany with destinations of BfArM" and Drugs R us" then only these two destinations (LM: regulatory authorities) are displayed. |
| Time Frame | This field cannot be searched or altered, but is included for informational purposes.
Based on the country, license type and reporting destination selected, the system determines and displays all possible time frames in ascending order separated by a comma. |
| Possible Report Forms | This field cannot be searched or altered, but is included for informational purposes.
Based on the country, license type and reporting destination selected, the system should determine and display all possible report forms in alphabetical order separated by a comma. |
This screen helps capture study information (study specifics, products involved in the study licensed countries associated with the study and the clinical references used in the expedited reports). Study Information is required if a case has been reported while conducting a study and the participating product(s) belong to the company. This data is reflected in multiple expedited and periodic reports and case form-general information section.
Be aware of the following:
The IND Reference Number drop down displays only those reference numbers (license numbers) associated with a product with a License Type of Investigational.
Console --> Business Configuration --> Studies --> Clinical Reference section (in middle of screen).
The Reference Number drop down field should be limited to IND (Investigational) US Licenses Number only.
The Study Name on the Study Configuration can be a maximum 70 Characters (same as the Product name).
Use the following procedure to add a study:
In the Business Configuration section, select Studies.
In the left panel, select a filtering criterion.
Select a Study and click to view the study details in the right panel.
Note:
Ensure that you select the study-level folder to view the details of the study.The details of the study appear in the right panel.

Tip:
You can alternatively click Add Study to create a new study.
Click Copy to copy of the Study Name and the Study Type data to the new Study.
Click Copy with Products to copy the Study Name and the Study Type data, as well as to copy the blinded and open products.
Enter the Study ID and Study Name associated with the Study.
Select the Project ID for the Study, from the drop-down list.
Select the Study Type associated with the Study, from the drop-down list.
Enter the Other ID. This will be an alternative id for the Study.
Select Template to associate a template with the Study.
Select the Observer Study Type(E2B) from the drop-down list.
The filtering criterion is essential as it helps you to search for specific items. The Argus Console provides this option for the Business Configuration section.
The filtering browser displays in the top-left corner of the left panel. The studies section can be filtered based on of any of the three combinations shown in the following illustration. The generated output is visible in a tree-format, in the left panel, based on the entire categorization of Projects, Studies, Products.

If you enable the Organized by Study/Products, only the Study and Product views will be available in the tree view in the left panel.
The Argus Console helps you to filter information further for the Business Configuration section. Once you have selected the Organized by, you can specify whether your search should contain or start with specific alphabets.
The filtering criterion shown in the following illustration, enables the system to search for all Projects/Studies/Products data that contain the term Cure.

The left panel displays the tree view of the Projects/Studies/Products based on the filtering criterion.
Tip:
The number displayed next to the folder signifies the number of studies/products within that project/studies family.Use the following procedure to add WHO Drug detail information.
Select Add WHO Drug in the Products section to add the WHO Drug details associated with the Study.
Click on WHO Drug to add WHO drug details (using the WHO Drug browser window) associated with the Study.
The system opens the WHO Drug browser window.

Select the Trade Name or the Ingredient radio-button, to search for the WHO Drug term associated with either the Trade Name or the main Ingredient of the drug.
Click Search to execute the search. The data is displayed as follows.
Select the required component/row (this can be the key Trade Name or Ingredient).
The row now appears highlighted and the Drug Details section displays the associated information.
Click Select to add this drug information in the Product Name section of the Studies Configuration window.
The WHO Drug browser window closes and the drug appears in the Product Name section.
Use the following procedure to add details about the Product in the Product Browser.

Select Add Product in the Products section to add the products associated with the Study.
Click on Add Products to add products. The Product Browser window appears.
Enter the Ingredient key word for the search. The ingredient is displayed in the first column.
Select the Ingredient to obtain the Family it is associated with.
Select the Product Name to view the associated Trade Names.
Select the Trade Name required.
Select is now enabled at the bottom of the window. Click Select to add the product details under the Product Name section. The Product Name is displayed in under the Product Name section.
Tip:
To delete a product, select the product and click Delete (placed next to Add Product). A pop-up appears asking you to confirm the action.Select the Reference Type associated with this Study, from the drop-down list.
Select the Country associated with this Study, from the drop-down list.
Enter the Reference Number associated with the Reference Type in this Study.
Tip:
To add more Reference Types in the Clinical Reference section, simply click Add . A new row is added to this section.
To delete the Reference Type, select the Reference Type and click Delete (placed next to Add). A pop-up appears asking you to confirm the action.
The Countries field is a display only field. You can Add or Delete this list based on your requirements.
Select the Product License from the drop down list. This is the license of the primary (company) product participating in the study.
Enter the Product Abbreviation.
The Centers are displayed as per the centers you choose to associate with the Study. To modify this list, click on Modify (placed next to Centers). Using this option you can add and delete Centers associated with the Study.
Tip:
To add more Centers to the Study Center list, use the Add>>/ Add All .options.
To delete the Centers from the Study Center list, use the Delete>>/Delete All options.
Enter the Study Description associated with the Study.
Click Select placed next to Investigator Alert to select or create an Advanced Condition for this Study.
Tip:
Click here for details on Advanced Conditions.Select Study is eligible for Unblinding to enable the study to be unblinded.
Select Enable Study Specific Encoding to enable the study specific Auto Encoding.
The Auto Encoding features helps you to configure your own dictionary of encoded data. Using this enables you to:
Configure studies to use dictionaries different from the dictionaries configured using the Case Form configuration.
Retrieve coded Events, Drugs and Events & Indications and codes from the lists associated with this section.
Ensure that the expedited reports display the correct verbatim and coded terms
Use the following procedure to configure Auto Encoding.
Click Auto Encoding to open the Auto Encoding dialog. The Auto Encoding dialog opens.

Select the encoding options as required for Drugs and Events & Indications. Use the items in the list to encode. For Study Encoding, go to Console -> Business Configuration -> Studies -> Study Encoding to support Central Encoding for Events & Indications for study cases, in a similar way as for non-study cases. Checking the Central Encoding checkbox (next to the Event & Indications Checkbox) also ensures that Central Encoding also gets reflected (as configured here) in the Argus Case Form, for study cases. 
Select Prevent manual encoding for Events & Indications , if you want to disable manual encoding by users.
Select the Require event term encoding before case closure, to ensure that the expedited reports display the correct verbatim and coded terms.
Note:
If this feature is not selected, then the study will use the dictionaries configured using the Case Form Configuration options.Cases where the report type does not include clinical trial cases, will always encode with the dictionaries configured through the Case Form configuration options.
Select Inherit Reporting Rules From using the drop-down list to configure study-based reporting requirements.
Study Reporting is provided in the Study Configuration section to configure study-based reporting requirements.
The reporting rules are not directly defined in the study, but rather identify which reporting rules to check from the already configured expedited reporting rules.
The identification is based on specifying what set of reporting rules to evaluate, as per the criteria of:
Country
License Type
Reporting Destination
Use the following procedure to configure study based reporting.
Click Add in the Inherit Reporting Rules From section. The Study Reporting dialog opens.
Select Always Report as required.
Tip:
Select this checkbox to force Argus to check for qualifying expedited reporting rules. These rules are based on the country, license type and reporting destination specified. Refer to the Field Descriptions for details.Select the Country from the drop-down list.
Tip:
This field specifies which country's reporting rules should be included. The drop-down list includes countries for which the expedited reporting rules exist.Select the License Type from the drop-down list.
Tip:
This field specifies the license type to be considered for the specified country. Refer to the Field Descriptions for details.Select the Reporting Destination from the drop-down list.
Tip:
This field is optional.The Time Frame and Possible Report Forms cannot be searched or altered, but is included for informational purposes.
Tip:
To add information pertaining to inheriting reporting rules in the Study Reporting section, click Add
To delete information pertaining to inheriting reporting rules in the Study Reporting section, select the reporting rule and click Delete. A pop-up appears asking you to confirm the action.
Click Save to save the changes made to the Studies section.
Tip:
If you have added a new Study, click Add Study to save the new Study.This section describes the configuration of Expedited Reports using pre-defined rules. These reports are required by Regulatory Authorities. The Administrator is responsible for entering information about Regulatory Authorities to which regulatory reports will be submitted.
This information is entered in the Regulatory Agency Information screen. Information about the local company contact for a regulatory authority can also be entered in this screen.
Configuration of the expedited report rules is done using the Business Administration -> Expedited Report Rules section shown in the following illustration.

When configuring expedited reporting rules, be aware of the following:
If the user does not have permission to access Advanced Conditions on the Expedited Reporting Rules, the system does the following:
Displays the advanced condition name instead of displaying a blank.
Does not permit the user to modify or view advanced condition details.
Disables the Advance Condition button.
The system enables the user configure the Blinding Study Products option for those included in the case (default unchecked).
The system track updates to this field in the audit log.
The Reporting Rules reports print the new options
For cases where expedited reports are due, the user can force-distribute expedited reports even if processing is incomplete.
Due Dates for expedited reports differ from Country to Country regulations. For Group 1 countries, the Due Date is based on the Aware Date received globally for the case. For Group 2 countries, the Due Date is based on the Aware Date when the affiliate or a company representative of that country received information about the case. In that case, the Due date for these reports could be 15 days after the report was actually generated based on the aware date received globally.
When reports are scheduled and generated, the Due Date for Group 2 countries is calculated. The Due Date for a Group 2 Country = Report Generation Date + Additional days for Group 2 countries. The Due Date for a Group 2 country can be adjusted as per the holidays and weekends, through the Adjust Due Date for Group 2 countries by XXX days checkbox.
The reporting rules have a Force Distribute XXX days before due checkbox. The default is unchecked.
If the user checks the Force Distribute option, the # of days before due field is entered and automatically checks the Auto Distribute checkbox on the reporting rule (grayed out).
The user can enter the number of days from 0 - # of days defined within the time frame.
If the user enters a value greater than the defined time frame, the system displays the following message:
Please enter a value less than the Time Frame defined for the Reporting Rule.
If the user has not checked Force Distribute, the system disables the days before due.
The system tracks updates made to the new Argus Console fields in the audit log.
The system prints an audit log and print out that shows the expedited report rules information as shown in the following illustration.
A super rule is a rule that overrides other rules when it finds a match. Be aware of the following:
The system executes a super rule before executing any other reporting rules.
If a super rule matches, it executes all the super rules but does not execute other rules.
If the super rule does not match, the application executes the other rules.

The following table lists and describes the fields in this section.
| Field/Control Name | Description |
|---|---|
| Report Name | Enables the user to view or enter the name of the Report. |
| Report Destination | Enables the user to select the name of the agency to which the report will be scheduled. |
| Active | Enables the user to specify whether the configured rule is active or inactive.
|
| Auto Distribute Reports | Enables you to distribute reports automatically. Except the E2B Reports, all the Expedited Reports that are selected for auto-distribution are tracked under the Worklist--> Bulk Transmit screen. The E2B Reports which are transmitted automatically, are tracked from Worklist--> Bulk Transmit E2B. |
| Protect Reporter and Patient Confidentiality | Enables the user to configure Protect Reporter and Patient Confidentiality
|
| HCP Case | When checked, the system check for any reporter in the case where HCP=Yes. This enables the report to be scheduled if other parameters for the reporting rules are satisfied.
The default is unchecked. |
| Report on Study Drug not Administered | If this field is not checked and a study drug (any in case) has not administered checked then no report is scheduled. |
| Active Moiety | Enable this check-box to enable rule to act exclusively as an active moiety rule for that country.
When this option is enabled the system will disable and ignore the county when evaluating the domestic/foreign causality sections. Listedness will be evaluated at the case level. |
| No Follow-up or Downgrade | The system does not schedule a follow up or a downgrade report for the case when the the initial report was scheduled based on the current rule. |
| Origin of Events to Include - Domestic | Enables the user to select the inclusion of domestic or foreign cases based on their country of incidence.
|
| Origin of Events to Include - Foreign | Enables the user to select the inclusion of domestic or foreign cases based on their country of incidence.
|
| Timeframe | This field specifies the report's scheduled due-date based on the number of days, after the initial receipt or significant follow-up date. |
| Adjust due date for Group 2 countries by xxx days | This field allows the user to specify the number of days by which the due date for a report may need to be adjusted for a Group 2 country. |
| Form | This is the drop-down list of expedited report forms. |
| Local Comment Type | This field is used to extract the local evaluator comment from case data (French CERFA 65-0044, CIOMS-I (Local)). This field is only enabled for CIOMS-I (Local) form. |
| Clinical Reference Type | This field is used to get information from the study configured for a case. |
| Language | Enables the user to select language type.
|
| Message Type | Enables you to select the message type. |
| Message Type | Enables the user to select the message type for E2B report forms. |
| Listedness | Enables the user to check if the license being evaluated for reporting is listed. The possible values are:
|
| Seriousness - Fatal/Life Threatening | Enables the user to check if the case contains a Death' or Life Threatening' seriousness criteria for the current event being evaluated. The possible values are:
|
| Seriousness - Serious (Case) | Enables the user to check if case level seriousness assessment is Serious'. The possible values are:
|
| Seriousness - Serious (Event) | Enables the user to check if the event level seriousness assessment (for any event) is Serious. The possible values are"
|
| Seriousness - Severity | Enables the user to select a term descriptive of the severity of the event. E.g. Mild, Moderate, severe, unknown. |
| Product Specific - Family Name | Enables the user to configure product specific reporting rules. |
| Product Specific - Product Group | Enables the user to configure product specific reporting rules.
Product Group drop-down always lists the configured Product Groups". |
| Causality - Most Conservative | If this checkbox is marked, the system will look at the event level reported causalities, event level determined causalities and case level causalities, and if any of these three causalities is Yes then the case will be considered Reportable.
If checked, the following options are hidden and set to Ignore":
|
| Causality - Include Non-Clinical Trial Cases | Enables you to include the Spontaneous Cases (Non Clinical Trial Cases) for causality assessments. |
| Causality - Causality as Reported (Event) | Assesses As Reported causality in conjunction with the Listed value (if any) specified in the rule for the license/event combination being assessed. Ignored for non-study cases. Only applies to Study cases. The possible values are
|
| Causality - Causality as Determined (Event) | Assesses As Determined causality in conjunction with the Listed value (if any) specified in the rule for the license/event combination being assessed. Ignored for spontaneous, literature and regulatory authority cases.
Ignored for non - study cases. Only applies to Study cases. The possible values are:
|
| Causality - Causality as Reported (Case) | Most conservative of the As Reported causalities in event assessment for ANY event.
Ignored for non - study cases. Only applies to Study cases. The possible values are:
|
| Causality - Causality as Determined (Case) | Case Level Causality, as observed on the Analysis tab for the Case Level Causality.
Ignored for non - study cases. Only applies to Study cases. The possible values are:
|
| Advanced Conditions | This field enables the selection of an advanced condition to further restrict cases that meet the criteria for the rule. |
| Advanced Conditions - Select | Enables the user to open the Advanced Condition Browser.
You can click this button to open the Advanced Conditions browser to select / create an Advanced Condition. |
| Responsible Group | Enables the user to select a group to whom reports scheduled by this rule will be assigned. |
| Cover Letter | Enables the user to use letters that have been configured for reporting template use. |
| Comments | Enables the user to enter reporting rule comments, up to 2000 characters. |
The Reporting Rules configuration feature enables you to define the reporting rules or criteria for the cases to be qualified for expedited reporting.
Use the following procedure to add expedited report rules.
In the Business Configuration section, select Expedited Report Rules.
In the left panel, select a filtering criterion. The left panel now displays the tree view of the Country/License Type/Reporting Rule based on the filtering criterion.
Select a Reporting Rule and click to view the reporting details in the right panel.
Note:
Ensure that you select the reporting rule-level icon/folder to view the details of the reporting rule.Tip:
Use Copy Rule to make an editable copy of an existing reporting rule, along with all associated expedited reporting rule information.
Enter the Report Name.
Select the Report Destination from the drop-down list. This is the name of the agency to which the report will be scheduled.
Select Auto Distribute Reports to distribute reports automatically.
Select Active to specify if the configured rule is active or inactive.
Note:
Only active rules are considered for report schedulingSelect Origin of events to include-Domestic to include domestic cases based on the country of incidence OR Select Origin of events to include-Foreign to include foreign cases based on the country of incidence
Select Report on Study Drug not Administered. This option ensures that all study drugs that are not administered are reported.
Select Active Moiety if you want to enable this option.
Select the required Form from the drop-down list of expedited report forms.
Select the Local Comment Type from the drop-down list. This field is used to extract local evaluator comments from case data.
Select the Clinical Reference Type from the drop-down list. This field is used to obtain information from study configured for a case.
Tip:
This field is enabled only for CIOMS-I (Local) form.Select the Language and Message Type from the drop-down list.
Select the Listedness from the drop-down list. This ensures that the license being evaluated for reporting is listed.
Select the Seriousness- Fatal/Life Threatening option from the drop-down list. This field ensures that cases that contain Death or Life Threatening seriousness criteria for an event are evaluated.
Select the Seriousness- Serious (Event) option from the drop-down list. Enable this field to check if the event level seriousness assessment is Serious
Select the Seriousness- Serious (Case) option from the drop-down list. Enable this field to check if the case level seriousness assessment is Serious
Select the Seriousness- Serious (Severity) option from the drop-down list.
This enables you to define the Severity as Mild, Moderate, Severe and Unknown.
Select the Product Specific - Group Name from the drop-down list. This field enables you to configure product specific reporting rules.
Select the Product Specific - Family Name from the drop-down list. This field enables you to configure product specific reporting rules.
Select Causality-Most Conservative. This ensures that the system looks at event level reported causality, event level determined causality and case level causality.
Select Causality-Include Non-Clinical Trial Cases. This enables you to include the Spontaneous Cases (Non Clinical Trial Cases) for causality assessments.
Select Causality - Causality as Reported (Event) as required, from the drop-down list.
Select Causality - Causality as Determined (Event) as required, from the drop-down list.
Select Causality - Causality as Reported (Case) as required, from the drop-down list.
Select Causality - Causality as Reported (Case) as required, from the drop-down list.
Select or create the Advanced Condition to restrict cases to the advanced conditions defined here.
If any of these three causalities are confirmed, then the case will be considered as reportable.
Note:
Use the Advanced Conditions browser to select or create an Advanced Condition by clicking Select .Select the Responsible Group from the drop-down list. This is the group to which the reports scheduled by this reporting rule will be assigned.
Select the Cover Letter from the drop-down list. Use this field to select cover letters that have been configured for reporting template use.
Enter any regulatory report comments under the Comments text box.
Click Save to save the changes made to this section.
Tip:
If you have added a new Reporting Rule, click Add Rule to save the new Expedited Reporting Rule.The filtering criterion is essential as it helps you to search for specific items. The Argus Console provides this option for the Business Configuration section.
The filtering browser is displayed in the top-left corner of the left panel. The Expedited Report Rules section can be filtered on the basis of any of the five combinations shown in the following illustration.

Consider the following examples:
If you enable Organized by Country/License Type/Reporting Rule, then the output generated will be visible in a tree-format, in the left panel, based on the entire categorization of Country, License Type and Reporting Rule.
If you enable the Organized by Responsible Group/Reporting Rule, then only the Responsible Group and Reporting Rule views will be available in the tree view in the left panel.
Tip:
Enable the Organized By filter for Active Rules, to obtain the list of active reporting rules.
Enable the Organized By filter for Inactive Rules, to obtain the list of inactive reporting rules
The Argus Console helps you to filter information further for the Business Configuration section. Once you have selected the Organized by, you can specify whether your search should contain or start with specific alphabets or words.
For example, the filtering criterion defined in the following illustration for all Country/License Type/Reporting Rule data that contain the term Canada.
