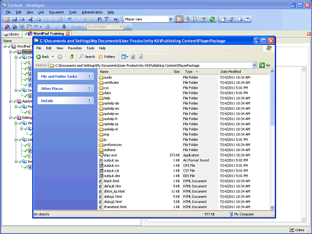
Screen image of this step
Action area of the screen image


Use the Play.exe file to launch the Player.

 

Double-click the play.exe list item.

Next Step


Table of Contents  Topic Overview