The Survival Craft function enables you to excuse a crew from their commanding role on a lifeboat/raft. This exemption is only applicable to crew who have Safety Function assigned to their #E Number and have attended a specified course or certification.
These functions vary depending on the drill mode set up in the Parameter group, Safety, Advance Safety Drill.
Standard Safety Drill Functions
A parameter a specific course or certificate is required. See Par_Group_Safety and Par_Group_Promo in Parameters
Make sure you set up the Commander / 2nd Commander flag in the Survival Craft Function in Administration module.
Safety Function code is assigned to the Crew, Muster List setup.
The crew must complete the course/certificate that matches the Course for Boat Commander.
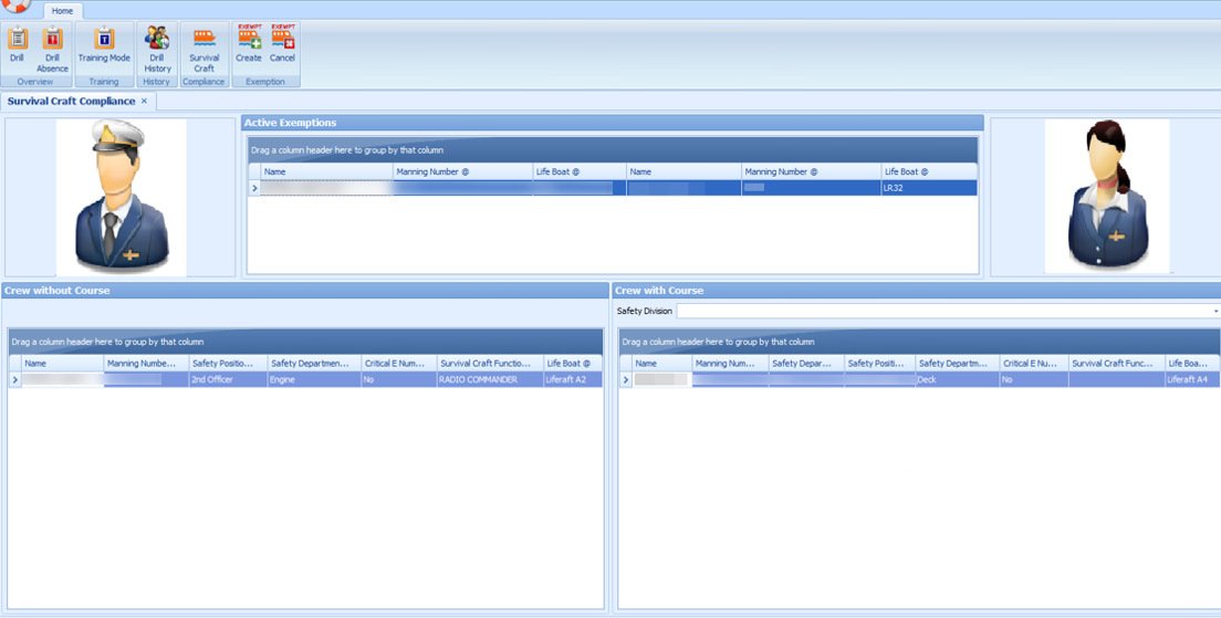
Figure 4-1 Survival Craft Compliance

Table 4-1 Field Description of Crew With/Without Course In Survival Craft Compliance
| Field Name | Descriptions |
|---|---|
|
Name |
Crew Name. |
|
Emergency # |
Emergency number defined in Muster List Setup. |
|
Critical E Number |
Defines whether course/certificate will auto expire after Critical E# changes. Refers to Muster List Assignment. |
|
Safety Department |
Safety Department assigned. Refers to Safety Department setup. |
|
Safety Position |
Safety Position assigned. Refers to Safety Position setup. |
|
Safety Function |
Safety Function assigned. Refers to Safety Function setup. |
|
LifeBoat |
Lifeboat assigned. Refers to Lifeboat Setup. |
The Survival Craft Compliance functions are divided into three sections. The information displayed in each of the sections defines the task of the Crew.
Active Exemptions: Displays the Crew exempted from its role.
An Emergency# (E Number) is assigned in Muster List Assignment.
The Emergency# must have a Safety Function assigned.
The Safety Function must have Commander/2nd Commander enabled.
The Emergency# must have Medical Care (MCARE) course and certificate assigned.
The crew must not have an MCARE course and certificate assigned/expired.
Has an Emergency# (E Number) assigned in the Muster List Assignment.
The Emergency# (E Number) is not necessary to have a Safety Function assigned.
The Emergency# (E Number) is not necessary to have an MCARE course and certificate assigned.
The Commander/2nd Commander must be disabled in Safety Function.
The crew must have an active MCARE course and certificate assigned.
Figure 4-2 Survival Craft Function In Muster List Setup

Figure 4-3 Required Courses Option in Muster List Setup

Figure 4-4 Crew with Course and Certificate In Crew Handling

Creating an Exemption
Figure 4-5 Survival Craft Exemption

Figure 4-6 Proposed Crew List with Exemption

Select a crew from each section - Crew with Course and Crew without Course.
Click the Create Exemption button. The name of the exempted crew is now shown in Active Exemption as illustrated in the figure below. The information displayed in Safety Function, Lifeboat, Craft Type, and Craft Side in the Safety Drill Overview changes when an Exemption is created.
Cancelling an Exemption
Figure 4-7 Proposed Crew List with Canceled Exemption

Select a name from the Active Exemption grid
Click the Cancel Exemption button. This resets the information shown in Safety Function, Lifeboat, Craft Type and Craft Side in the Safety Drill Overview to the initial arrangement when an Exemption is canceled.
Changing the #E Number
You can only change the crew #E number when the crew is exempted from Survival Craft Compliance.
Figure 4-8 #E-Number Assignment

At the Crew module, select the Safety, Muster List Assignment from the drop-down list.
At the Muster List Assignment window, click the Schedule button from the menu bar and click the Assign by Person tab.
At the Crew List section, select the Crew name, and go to the Eligibility section.
Highlight the number and click the Assign Function button.
Click the Yes button at the confirmation prompt to change the #E Number or click No to exit without changing.
Click the Exit.
Crew Departure with Exemption
The system allows you to check out a crew with an ‘Exemption’ status in the Survival Craft Compliance. It prompts an alert message at the check-out. You must remove the exemption first before checking out the crew. This restriction does not apply to the Gangway movement whereby a crew is allowed to go ashore or onboard.
During the creation of the exemption, columns Survival Craft Function, Boat, Craft Type, and Craft Side are replaced with Commander, if the crew has a Survival Craft Exemption.
Advance Safety Drill Functions
Before you proceed, ensure you have the following parameters and configurations set.
A parameter a specific course or certificate is required. See Par_Group_Safety and Par_Group_Promo in Parameters.
Safety Function code has Commander/2nd Commander selected.
Safety Function code is assigned to Crew, Muster List setup.
The crew completed a course/certificate that matches the Course for Boat Commander.
The functions of the Survival Craft Compliance in the Standard Mode or Advance Safety Drill Mode are identical, except the permission to change #E number and the Crew Departure with Exemption.
Changing the #E-Number in Advance Safety Drill
The system does not allow you to change the #E number from the Muster List Assignment for the crew that is exempted from Survival Craft Compliance. You must remove the exemption first before making any changes or you will receive an error prompts during check-out.
Figure 4-9 #E-Number Change Notification

Crew Departure with Exemption in Advance Safety Drill
If a crew is exempted from the Survival Craft Compliance, you cannot check out the crew from Crew Handling without removing the exemption first. The crew is also not permitted to go ashore or onboard through the Gangway Security.
Figure 4-10 Notification of Survival Craft Exemption At Check Out
