3 Cycle Times
Workbook synopsis
The Oracle Site Analyze Cycle Times workbook, intended for Oracle Site Select customers, allows you to view detailed data related to CDA, Oracle Site Select LITE, Selection, and Survey cycle times.
Dashboards and sheets
Key Cycle Times dashboard
Use the filter options along the top of the worksheet to limit the scope (e.g., Study, Min/Max Cycle, Sponsor, Region, etc.) and tailor the available data to your preferred view.
The Key Cycle Times dashboard allows you to configure your cycle time parameters of interest for the filtered data (e.g., start at CDA task available and end at CDA finalized). Choose your preferred parameters from “Select Cycle Start” and “Select Cycle End” drop-down menus.
Once you've selected parameters, the Key Cycle Times dashboard displays cycle times in a horizontal boxplot, with cycle time in days. Hover over any point in the boxplot to see a detail tooltip. At the upper left of the dashboard, use the following filters to refine the display:
Compare data by
- All
- Region
- Country
- Study
- PI
- Workflow
Compute Cycles by
- Median
- Average

Cycle Analysis
- Select Cycle Start: CDA Task Available, Site Invitation Reviewed, Site Invitation Sent, Survey Submitted, Survey Task Available
- Select Cycle End: CDA Finalized, Final Acceptance, Site Invitation Sent, Survey Submitted, Survey Task Available
- Group Data By: All, Region, Country
- Compare Data By: All, Region, Country, Study, PI, Workflow
- Compute Cycles: Median or Average
Hover over any point in the horizontal boxplot to see a detail tooltip.

Cycle Detail
The Cycle Detail worksheet provides cycle information in a tabular format. Use the filters at the top of the worksheet to subset the data to your preferred view.
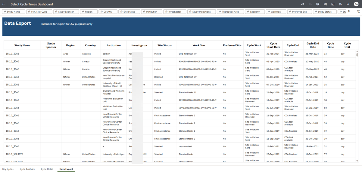
Data Export
The Cycle Times report includes a Data Export worksheet designed specifically for export to a file format. Subset the data as preferred using the filters at the top of the worksheet. To Export, right click anywhere on the worksheet and specify the file format you want for the export.
